Código de la propiedad: 79

  Idro

  Tierra

Jardín 4800 mq

CERT. EN.

CATEGORíA DE ENERGíA Esente

Euro 370.000

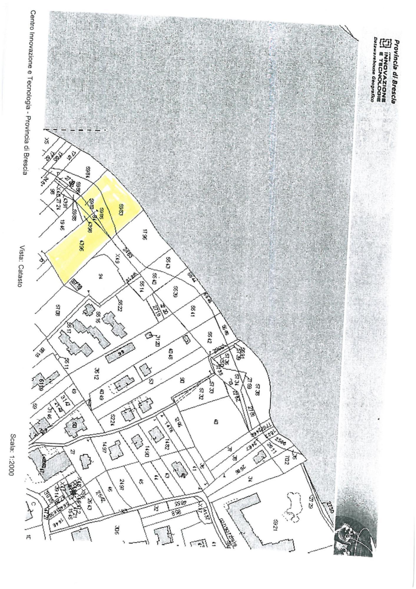
En una de las ubicaciones más sugestivas del lago de Idro, en la zona de Boccalone, ofrecemos a la venta una amplia parcela frente al lago de aproximadamente 4.800 m², de los cuales unos 1.100 m² son edificables. La propiedad ofrece la posibilidad de construir inmuebles de uso residencial con una superficie total de unos 270 m², con una altura máxima permitida de 7,5 metros, ideal para la construcción de una villa exclusiva o varias unidades residenciales.

El terreno, completamente llano, se extiende hasta el lago e incluye una agradable playa privada, un elemento raro y de gran valor que permite disfrutar plenamente del contacto directo con el agua y la naturaleza circundante. El acceso directo a la vía ciclable y peatonal junto al lago permite llegar de manera fácil y rápida a las localidades de Crone y Lemprato, haciendo que la ubicación sea especialmente cómoda, manteniendo al mismo tiempo privacidad y tranquilidad.

Se trata de una solución única en su género, perfecta para quienes desean realizar una residencia inmersa en un entorno natural de gran encanto, con acceso directo al lago y amplios espacios disponibles.

 
 
Coordenadas de Google Maps: 45.738590, 10.472474

DISTANCIA DESDE:
  • Tiendas/aldeas más cercanas
  • 0,001 km
  • Playa
  • 0,001 km
  • Instalaciones de esquí
  • 31 km
  • Consultorio médico/hospital
  • 9 km
  • Estación de tren
  • 45 km
  • Aeropuerto Verona VRN
  • 80 km
  • Aeropuerto de Bergamo BGY
  • 90 km
  • Aeropuerto Milán Linate LIN
  • 135 km
  • ESTADO DEL INMUEBLE
    EXCELENTE

    SUPERFICIE COMERCIAL
    4800 mq

    CERTIFICACIóN ENERGéTICA
    CATEGORíA DE ENERGíA Esente


    Visite nuestro territorio
    17 Julio 2019

    Usted también podría estar interesado en...

    El boletín de Immobiliare Piccinelli: suscríbase para recibir propuestas, noticias e información útil